Přejít k hlavnímu obsahu
Zpět na článek

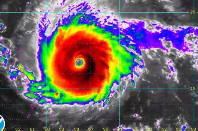
Hurikán Irma dosáhl kategorie 5. V Karibiku vyhlašují stav ohrožení