Věda

Hurikán Irma dosáhl kategorie 5. V Karibiku vyhlašují stav ohrožení

Stanislav Mihulka 06.09.2017

Odstraňování škod po hurikánu Harvey teprve začalo a Atlantikem se už blíží Irma




Sezóna hurikánu v Atlantiku je v plném proudu. Hurikán Harvey se v Texasu a okolí sotva vypršel a k americkým kontinentům se už Atlantikem blíží další hurikán.

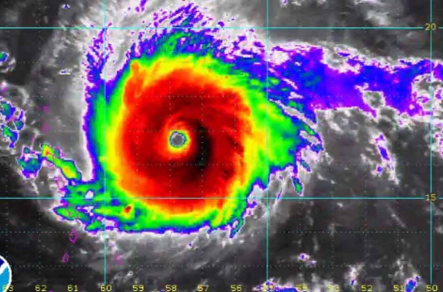
Jmenuje se Irma a v úterý 5. září ho meteorologové oficiálně povýšili na hurikán kategorie 5 podle Saffirovy-Simpsonovy stupnice hurikánů. V bouřích této kategorie burácejí větry rychlostí minimálně 252 kilometrů za hodinu, které mohou způsobit obrovské škody a značné ztráty na životech.

TIP: Divoká sezóna: Čekají letos Atlantik obzvláště bouřlivé hurikány?

Americký Národní úřad pro oceán a atmosféru (NOAA) varuje, že by Irma mohla být extrémně ničivá. V tuto chvíli se blíží rychlostí asi 22 kilometrů za hodinu ke Karibským ostrovům. O víkendu by podle všeho měla dorazit na Floridu. V Karibiku už vyhlásili stav ohrožení.

 

  • Zdroj textu:
  • IFL Sciene, NOAA

  • Zdroje fotografii:
  • NOAA


Další články v sekci