Přejít k hlavnímu obsahu
Zpět na článek

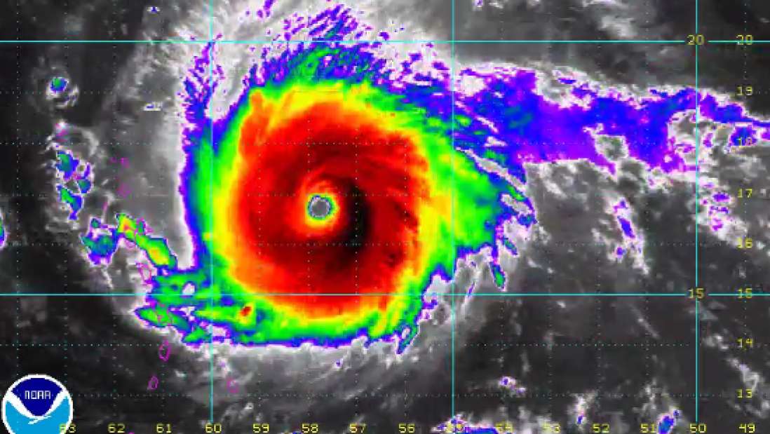
Hurikán Irma dosáhl kategorie 5. V Karibiku vyhlašují stav ohrožení

0/1
  • Irma je teď hurikánem kategorie 5

    Zdroj: