Přejít k hlavnímu obsahu
Zpět na článek

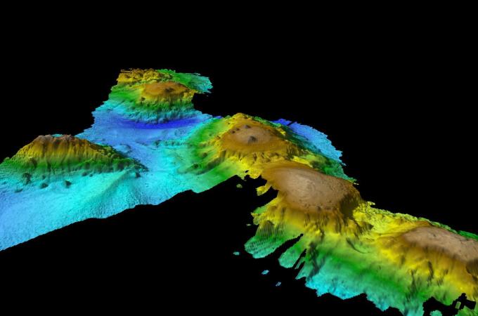
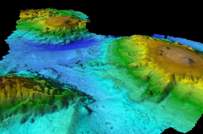
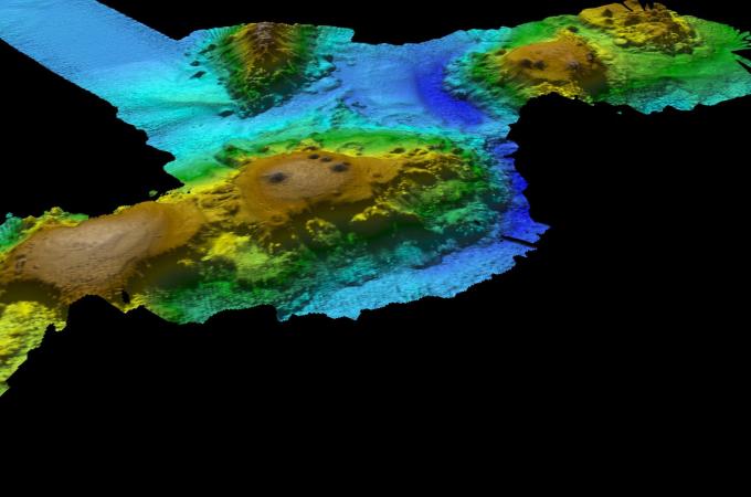
Řetěz dávných podmořských sopek je významnou dálnicí pro kytovce