Přejít k hlavnímu obsahu
Zpět na článek
Řetěz dávných podmořských sopek je významnou dálnicí pro kytovce
0
/6
Zdroj:
Zdroj:
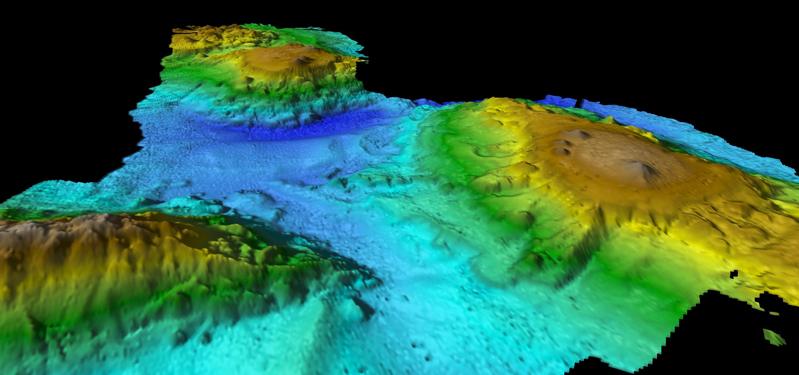
Sonarová mapa podmořských sopek u Tasmánie
Zdroj:
Sonarová mapa podmořských sopek u Tasmánie
Zdroj:
Sonarová mapa podmořských sopek u Tasmánie
Zdroj:
Sonarová mapa podmořských sopek u Tasmánie
Zdroj: