Přejít k hlavnímu obsahu
Zpět na článek

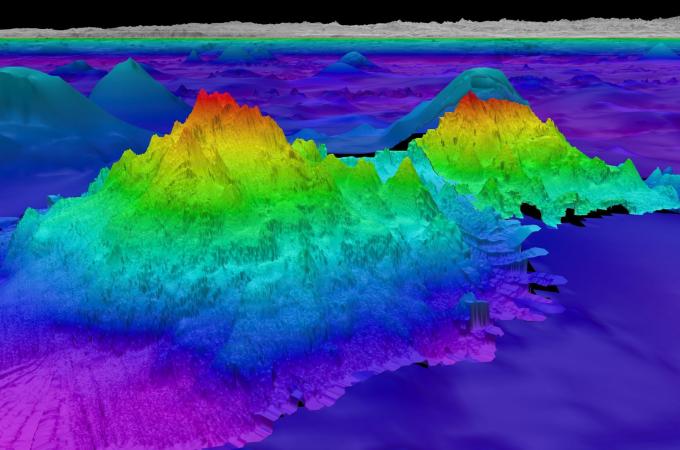
V Tichém oceánu byly objeveny čtyři podmořské hory