V Tichém oceánu byly objeveny čtyři podmořské hory
Odborníci Schmidtova oceánského institutu objevili čtveřici doposud neznámých podmořských hor. Nejvyšší z nich je třikrát vyšší než Burdž Chalífa.

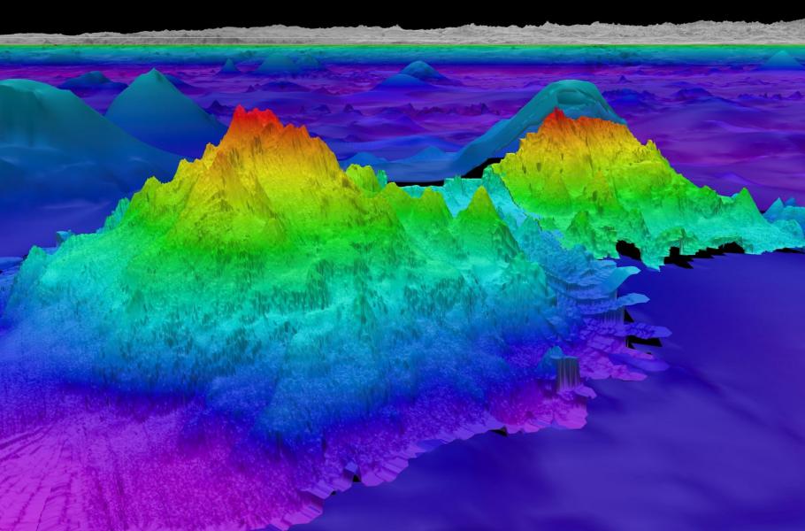
Nejvyšší z nově objevených podmořských hor je vysoká 2 681 metrů. (foto: Schmidt Ocean Institute, CC BY-SA 4.0)
Výzkumné plavidlo RV Falkor Schmidtova oceánského institutu se minulý měsíc plavilo mezi přístavy Golfito v Kostarice a chilským Valparaiso. Během této cesty odborníci objevili celkem čtyři velké podmořské hory, tyčící se do výšky 1 591 až 2 681 metrů. Badatelé tyto hory vystopovali díky měření oceánských gravitačních anomálií.
Hrboly na mořské hladině
Struktury na mořském dně mají nepatrný, ale měřitelný vliv na mořskou hladinu. Rozsáhlý podmořský příkop způsobuje určitý pokles hladiny oceánu v daném místě, zatímco velká podmořská hora vyvolává „vyboulení“ mořské hladiny.
„Díky příznivé souhře okolností jsme mohli naplánovat vhodnou trasu, která zohlednila gravitační anomálie v oceánu získané ze satelitních měření výšky hladiny,“ vysvětluje John Fulmer pro IFL Science. „Zkoumání gravitačních anomálií je honosným popisem toho, že jsme na mapách hledali hrboly.“
Podmořské hory jsou obvykle pozůstatkem vyhaslých podmořských vulkánů. Jsou fascinující samy o sobě, zároveň ale platí i za ráj biodiverzity, protože nabízejí organismům pevný podklad v místech, kde jinak bývá jen vodní sloupec.

„Objev podmořské hory prakticky vždy přinese neprostudované ohnisko biodiverzity,“ uvádí Jyotika Virmaniová výkonná ředitelka Schmidtova oceánského institutu. „Pokaždé, když nalezneme tato místa s bujným podmořským životem, vede to k úžasným objevům a pokroku v našem poznání vývoje života na Zemi.“
Nedávný objev podmořských hor je malou součástí mnohem rozsáhlejšího projektu, jehož cílem je zmapovat mořské dno na celé planetě. Od roku 2013 odborníci Schmidtova oceánského institutu zmapovali více než 1,44 milionu kilometrů čtverečních a vytvořili tak mapu téměř 25 % mořského dna. Kompletní mapa by mohla být hotová kolem roku 2030.