Vesmír

Oranžové korálky z Měsíce: Paměť pradávných výbuchů z nitra našeho souputníka

Stanislav Mihulka 16.06.2025

Astronauti mise Apollo 17 objevili na Měsíci miniaturní skleněné kuličky, které dnes – díky špičkovým analytickým metodám – odhalují překvapivě dramatickou vulkanickou minulost našeho souputníka.




Když astronauté programu Apollo letěli na Měsíc, měli jen rámcovou představu, co je tam čeká. Žádný z nich ale nejspíš nečekal, že by na povrchu našeho souputníka mohl narazit na malé kuličky z jasně oranžového skla. 

Thomas Williams z Brownovy univerzity a jeho kolegové nyní tyto drobné kousky skla analyzovali pomocí řady moderních analytických přístrojů. Významnou roli například sehrálo zařízení NanoSIMS 50 (nanoscale secondary ion mass spektrometry), které provádí takzvanou hmotnostní spektrometrii sekundárních iontů, založenou na bombardování povrchu vzorku proudem iontů. Jde o jednu z nejcitlivějších materiálových analýz vůbec.

Kapky dávné historie

Výsledky analýz, zveřejné v odborném časopisu Icarus, ukazují, že lunární skleněné kuličky, obvykle menší než jeden milimetr, vznikly v průběhu dramatických vulkanických erupcí na povrchu Měsíce. K těmto erupcím docházelo zhruba před 3,6 až 3,3 miliardami let.

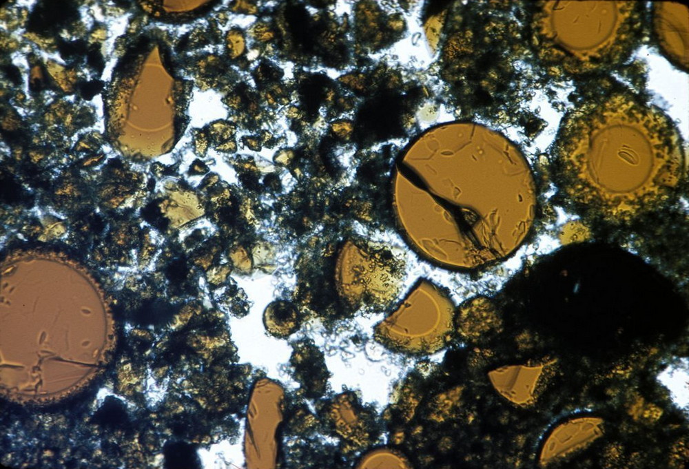
Mikroskopický snímek kuliček oranžového skla ve vzorku z povrchu Měsíce, shromážděného v rámci mise Apollo 17 (foto: NASA, CC BY-SA 4.0)

Když lunární vulkány chrlily magma z vnitřních částí Měsíce, kapičky magmatu okamžitě tuhly v mrazivém lunárním vakuu. Každá skleněná kulička z Měsíce tím pádem představuje nesmírně cennou databázi informací o vnitřním složení našeho souputníka. Už jen jejich samotná existence je důkazem, že se na Měsíci v minulosti odehrávaly explozivní vulkanické erupce. Analýzy navíc ukázaly, že styl těchto erupcí se během miliard let měnil, což znamená, že i Měsíc prožil vlastní geologickou evoluci.

Chemické a izotopové složení těchto kuliček vulkanického skla slouží jako sonda dávných erupcí. Vypovídá o tlacích, teplotách a chemickém prostředí, v nichž se tyto erupce odehrávaly. „Je to, jako bychom četli deník dávného měsíčního vulkanologa,“ přibližuje význam výzkumu lunárního vulkanického skla Ryan Ogliore z Washingtonovy univerzity ve st. Louis.


Další články v sekci