Přejít k hlavnímu obsahu
Zpět na článek

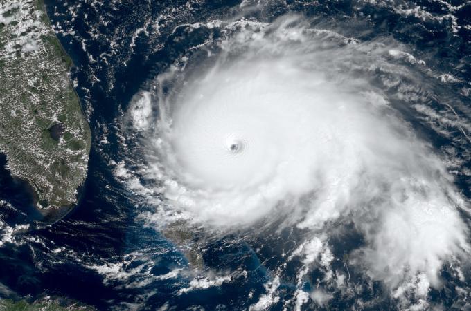
Předpověď NOAA: Letošní Atlantická hurikánová sezóna má být velmi silná